Mexen Velar L vonios ekrano 2-durų slankiojama 90 x 150 cm, matinė, šlifuotas nikelis - 896-090-003-31-97

LT

LT

Mexen Velar L vonios ekrano 2-durų slankiojama 90 x 150 cm, matinė, šlifuotas nikelis - 896-090-003-31-97

Mexen Velar L vonios ekrano 2-durų slankiojama 90 x 150 cm, matinė, šlifuotas nikelis - 896-090-003-31-97
search
  • Mexen Velar L vonios ekrano 2-durų slankiojama 90 x 150 cm, matinė, šlifuotas nikelis - 896-090-003-31-97
  • Mexen Velar L vonios ekrano 2-durų slankiojama 90 x 150 cm, matinė, šlifuotas nikelis - 896-090-003-31-97
  • Mexen Velar L vonios ekrano 2-durų slankiojama 90 x 150 cm, matinė, šlifuotas nikelis - 896-090-003-31-97
  • Mexen Velar L vonios ekrano 2-durų slankiojama 90 x 150 cm, matinė, šlifuotas nikelis - 896-090-003-31-97
  • Mexen Velar L vonios ekrano 2-durų slankiojama 90 x 150 cm, matinė, šlifuotas nikelis - 896-090-003-31-97
  • Mexen Velar L vonios ekrano 2-durų slankiojama 90 x 150 cm, matinė, šlifuotas nikelis - 896-090-003-31-97
  • Mexen Velar L vonios ekrano 2-durų slankiojama 90 x 150 cm, matinė, šlifuotas nikelis - 896-090-003-31-97
Mexen Velar L vonios ekrano 2-durų slankiojama 90 x 150 cm, matinė, šlifuotas nikelis - 896-090-003-31-97
Mexen Velar L vonios ekrano 2-durų slankiojama 90 x 150 cm, matinė, šlifuotas nikelis - 896-090-003-31-97 Mexen Velar L vonios ekrano 2-durų slankiojama 90 x 150 cm, matinė, šlifuotas nikelis - 896-090-003-31-97 Mexen Velar L vonios ekrano 2-durų slankiojama 90 x 150 cm, matinė, šlifuotas nikelis - 896-090-003-31-97 Mexen Velar L vonios ekrano 2-durų slankiojama 90 x 150 cm, matinė, šlifuotas nikelis - 896-090-003-31-97 Mexen Velar L vonios ekrano 2-durų slankiojama 90 x 150 cm, matinė, šlifuotas nikelis - 896-090-003-31-97 Mexen Velar L vonios ekrano 2-durų slankiojama 90 x 150 cm, matinė, šlifuotas nikelis - 896-090-003-31-97 Mexen Velar L vonios ekrano 2-durų slankiojama 90 x 150 cm, matinė, šlifuotas nikelis - 896-090-003-31-97
Grūdintas stiklas 8 mm Grūdintas stiklas 8 mm
EasyClean danga EasyClean danga
Sistema Uni-Mount Sistema Uni-Mount
Prekės ženklas:
Seria:
Ean:
5905315276162
Index:
896-090-003-31-97
Plotis:
Tipas:
Tipas:
Aukštis:
150 cm
Stiklo spalva - Šerkšnas - ()
Profilio spalva - Poliruotas nikelis - ()

Mexen Velar L vonios ekrano 2-durų slankiojama 90 x 150 cm, matinė, šlifuotas nikelis - 896-090-003-31-97

Techninės specifikacijos:

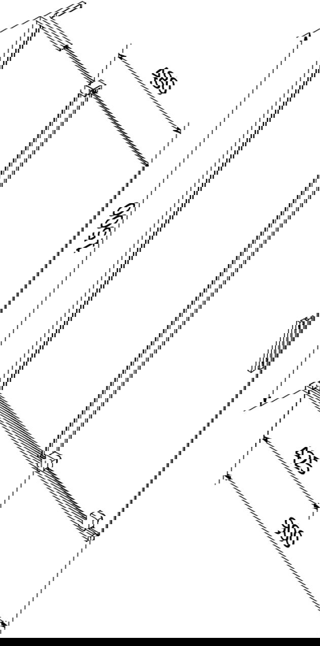
Plotis: 90 cm

Aukštis: 150 cm

Tipas: 2-durų

Montavimas: Universalus

Tipas: Judantis/Slankiojamas

Stiklo tipas: Grūdintas

Stiklo spalva: Matinė

Stiklo storis: 8 mm

Apdaila: Šlifuotas nikelis

Kampinis stabilizatorius L

Danga palengvinanti valymą

Sienos nelygumų korekcija

Vandens nutekėjimo tarpinės rinkinys

Novatoriški šiame produkte naudojami sprendimai

Grūdintas stiklas 8 mm

Naudotas 8 mm storio grūdintas stiklas buvo specialiai termiškai apdorotas, todėl jis yra atsparesnis dūžiams ir pažeidimams. Tai užtikrina papildomą komfortą ir saugumą naudojimo metu.

EasyClean danga

Inovatyvi EasyClean danga turi hidrofobinių savybių – vandens lašai nuteka nuo lygios stiklo paviršiaus, nepaliekant kalkių nuosėdų, kas žymiai palengvina valymą ir padidina apsaugą nuo korozijos.

Sistema Uni-Mount

Dėl universalios tvirtinimo sistemos, ekraną galima montuoti tiek dešinėje, tiek kairėje pusėje, priklausomai nuo poreikių. Tokiu būdu galite lengvai suprojektuoti dušą, pritaikytą vonios kambario erdvei.

Prie sieninis profilis su reguliavimu

Dušo sienelės montavimas naudojant prie sieninio profilio sistemą yra labai praktiškas sprendimas, leidžiantis tiksliai pritaikyti sienelę prie turimos erdvės. Tai suteikia 15 mm reguliavimą ir išlygina sienos kreivumą.

Atsparumas matinimui ir korozijai

Produktas pagamintas iš aukštos kokybės medžiagų, atsparių matinimui ir korozijai, todėl išlaiko savo patrauklią išvaizdą ir funkcionalumą ilgą laiką, nepriklausomai nuo drėgmės lygio patalpoje.

Apsaugo nuo aptaškymo

Efektyvi apsauga nuo vandens išsiliejimo maudymosi metu. Sienelė turi tarpines, kurios idealiai priglunda prie stiklo paviršiaus ir vonios krašto. Funkcionalus sprendimas, užtikrinantis saugumą ir lengvą švaros palaikymą.

Stumdomas sparnas

Stumdomoji siena yra praktiškas sprendimas, kuris leidžia sutaupyti vietos, nes nereikalauja papildomos atidarymo erdvės. Jos konstrukcija pagrįsta bėgelių sistema, kuri leidžia sklandžiai stumdyti sparną, o įmontuoti ratukai apsaugo nuo teršalų ir kalkių pateikimo į guolių dalis.

Kampinis stabilizatorius

Produktas sukurtas atsižvelgiant į ilgaamžiškumą, stabilumą ir estetiką. „L“ formos kampinis stabilizatorius pagamintas iš aukštos kokybės nerūdijančio plieno. Toks sprendimas daro konstrukciją dar stabilesnę ir patvaresnę, suteikiantį įdomų ir minimalistinį charakterį.

3 metų garantija

Produktui taikoma 3 metų garantija. Kilus problemų dėl įsigyto produkto, skatiname susisiekti per kontaktinę formą arba telefonu klientų aptarnavimo linijos numeriu.

Higienos pažymėjimas pagal PZH

Produktas turi sertifikatą, išduotą Valstybinės higienos instituto, patvirtinantį atitiktį saugumo normoms - nurodo, kad jokiu būdu neigiamai neveikia žmonių sveikatos ir natūralios aplinkos. Nr. B.BK.60110.1432.2023 galioja iki 2026.12.08

Serija
Plotis
Aukštis
150 cm
Tipas
Stiklo spalva
Profilio spalva
Poliruotas nikelis
Stiklo storis
8 mm
Tipas
Apsauginė danga
Naudojimo instrukcija
Saugos informacija
Garantijos sąlygos
PZH testas
Gamintojas

Ar neradote atsakymo?

Parašyk mums

Produktas dar neturi nuomonės. Palikite savo nuomonę!

Mexen Velar L vonios ekrano 2-durų slankiojama 90 x 150 cm, matinė, šlifuotas nikelis - 896-090-003-31-97

Mexen Velar L vonios ekrano 2-durų slankiojama 90 x 150 cm, matinė, šlifuotas nikelis - 896-090-003-31-97

Katalogo kaina: 377,70 €

302,19 € (su PVM)

Pigiau 75,51 €

19,99%

Mažiausia kaina nuo paskutinių 30 dienų: 302,19 €

Grūdintas stiklas 8 mm Grūdintas stiklas 8 mm
EasyClean danga EasyClean danga
Sistema Uni-Mount Sistema Uni-Mount
Prekės ženklas:
Seria:
Ean:
5905315276162
Index:
896-090-003-31-97
Plotis:
Tipas:
Tipas:
Aukštis:
150 cm
Stiklo spalva - Šerkšnas - ()
Profilio spalva - Poliruotas nikelis - ()
Pakrovimas ...